Pt 1&2 Levert Drive, West Nipissing, Ontario P2B 2P3

Listed for:
$169,900
0 beds
0 baths
Listed 211 days ago
Pt 1&2 Levert Drive, West Nipissing, Ontario P2B 2P3

View all 23 photos

About

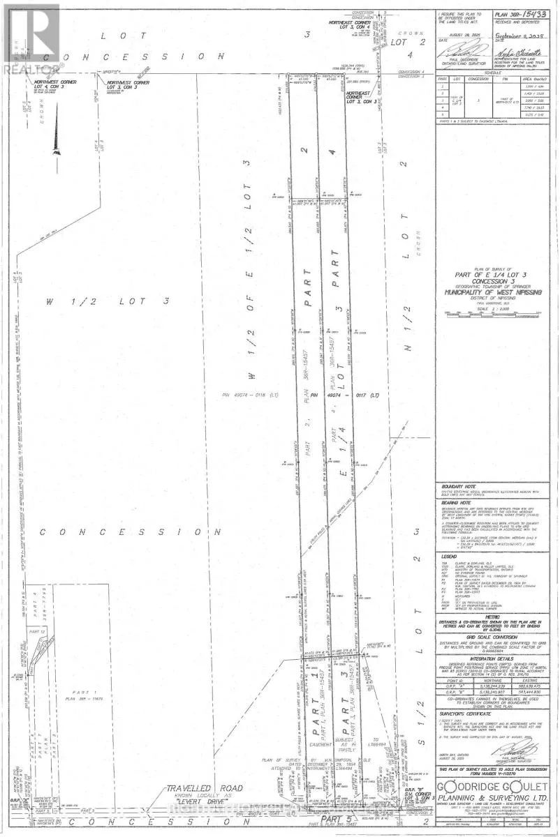
Cross Streets: Hwy 64N & Levert Dr. ** Directions: Hwy 64N to Levert Dr, West of 303 Levert Dr. Rare! Private 24 Acre Vacant Lot On The Edge Of Town. A Great Location With A Good Driveway And Gate To A Nice Level Cleared Area To Build Your Dream Home Or A Perfect Getaway! Big Savings With Hydro At Road! Year Round Road With Easy Access To Highway 64! Lots Of Space For Your Home, Outbuildings And Your Toys. Prime Area With Country Homes! The The Back Of The Property Features Great Scenic Views On Higher Elevation And On The Canadian Shield With Mature Mixed Bush And Connecting Atv Trails! Near The Upper Sturgeon River With Miles Of Navigable Waters To Fish, Boat, Canoe! Garbage & Recycling Pickup. Recent Survey! Just 5 Minute Drive To The Town And Shopping. Easy Commute To North Bay Or Sudbury! Buy Now And Start Making Plans. (id:27476)

Property Highlights

MLS® Number
X12467452
Type
Vacant Land
Community Name
Sturgeon Falls
Land Size
200 x 5280 FT ; Irregular 24.14 Acres|10 - 24.99 acres

Building

Fireplace Present
No
Basement Type
Basement Features
Building Heating Type
Heating Fuel
Building Cooling Type

Location

Learn more about this property
Listing provided by:
RIGHT AT HOME REALTY
MLS® number:
X12467452
Agent:
Cathy Lees
*Indicates required field
Name is required
Email is required
Please enter a valid phone number (e.g., 416-111-1111).