1878-1918 Huron Church Road, Windsor, Ontario N9C 2L5

Listed for:
$35
0 beds
0 baths
Listed 304 days ago
1878-1918 Huron Church Road, Windsor, Ontario N9C 2L5

View all 2 photos

About

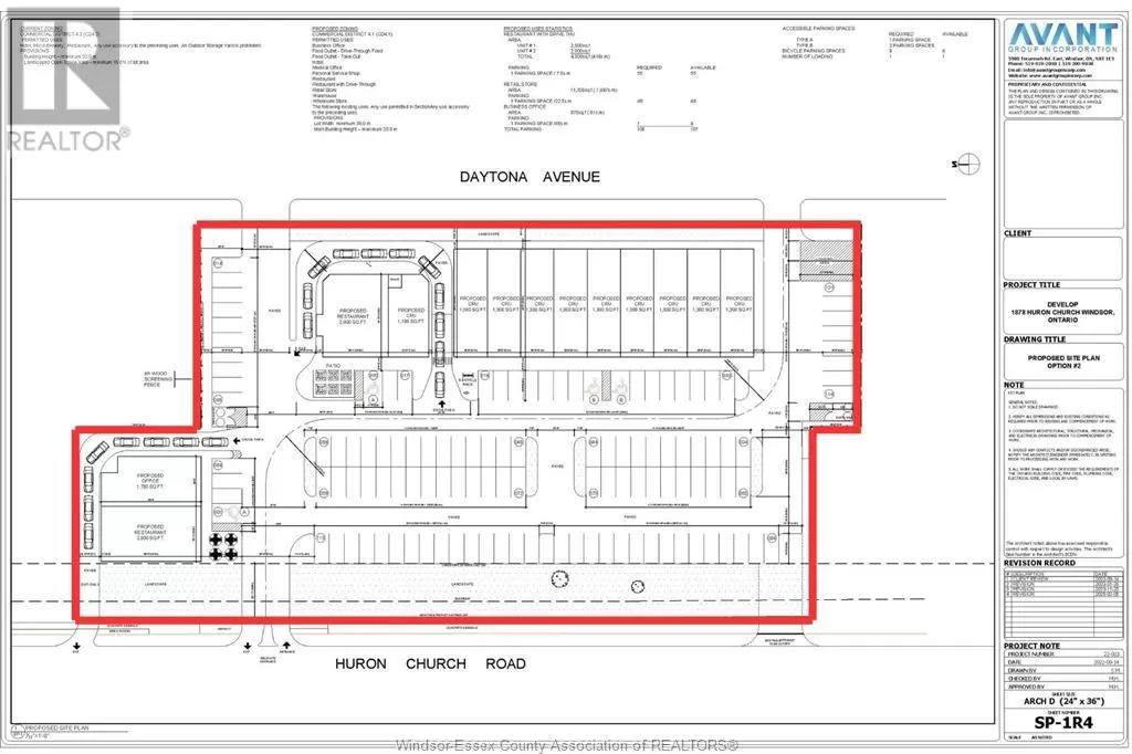
For Lease – Prime Retail Space at 1878-1918 Huron Church Road, Windsor, ON This high-visibility retail plaza is strategically located in the City of Windsor, Ontario, just minutes from the University of Windsor, the Ambassador Bridge, Highway 401, and EC Row Expressway. Featuring approximately 440 feet of frontage on Huron Church Road—one of Windsor’s busiest arterial routes—the property benefits from exceptional exposure and steady vehicular traffic. The plaza is ideally positioned in the heart of the city’s retail corridor, surrounded by major national retailers and adjacent to the Hampton Inn Hotel, with the Holiday Inn located directly across the street. The property offers a total of 18,536 square feet of retail space available for lease, with units starting from 1,350 square feet and up, providing flexibility for a variety of tenant needs. It is situated on a 2.27-acre site, featuring ample on-site parking, and offers excellent visibility and convenient access from Huron Church Road. (id:27476)

Property Highlights

MLS® Number
25018068
Type
Industrial
Land Size
441 X IRREG / 2.27 AC

Building

Square Footage
18536 sqft
Fireplace Present
No
Basement Type
Basement Features
Building Heating Type
Heating Fuel
Natural gas
Building Cooling Type
Air Conditioned, Central air conditioning

Location

Learn more about this property
Listing provided by:
REMO VALENTE REAL ESTATE (1990) LIMITED
MLS® number:
25018068
Agent:
Mike Sleiman
*Indicates required field
Name is required
Email is required
Please enter a valid phone number (e.g., 416-111-1111).