77 Metcalf Street, Woodstock, Ontario N4S 3E9

Listed for:
$179,900
0 beds
0 baths
Listed 3 days ago
77 Metcalf Street, Woodstock, Ontario N4S 3E9

View all 6 photos

Learn more about this property
Listing provided by:
Century 21 Heritage House Ltd Brokerage
MLS® number:
X12419662
Agent:
Ali Zulfiqar
*Indicates required field
Name is required
Email is required
Please enter a valid phone number (e.g., 416-111-1111).

About

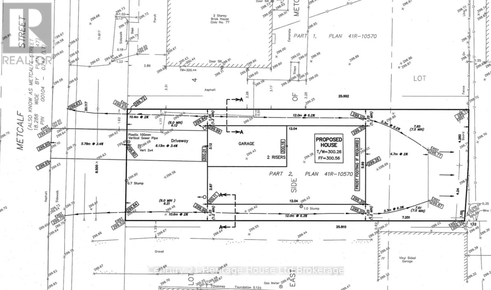
Cross Streets: Metcalf st and Main st. ** Directions: From Main Street, Turn North onto Metcalf. Home will be on the right. Affordable vacant lot available in the heart of Woodstock. Close to all amenities. Plans ready for a detached 3 bedroom home. Sewer on lot line. Water will be brought to lot line by seller. (id:27476)

Property Highlights

MLS® Number
X12419662
Type
Vacant Land
Community Name
Woodstock - South
Land Size
27.89 x 84.68 FT|under 1/2 acre

Building

Fireplace Present
No
Basement Type
Basement Features
Building Heating Type
Heating Fuel
Building Cooling Type

Utilities

Water
Municipal water
Utility Sewer
Sanitary sewer

Location