15-4 Fortune Bridge, Fortune, Prince Edward Island C0A 2B0

Listed for:
$42,500
0 beds
0 baths
Listed 32 days ago
15-4 Fortune Bridge, Fortune, Prince Edward Island C0A 2B0

View all 1 photos

Learn more about this property
Listing provided by:
ROYAL LEPAGE PRINCE EDWARD REALTY
MLS® number:
202427638
Agent:
Peter Mackenzie
*Indicates required field
Name is required
Email is required
Please enter a valid phone number (e.g., 416-111-1111).

About

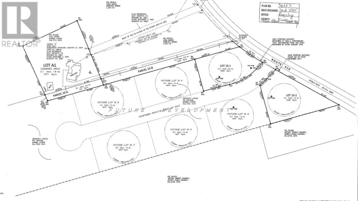
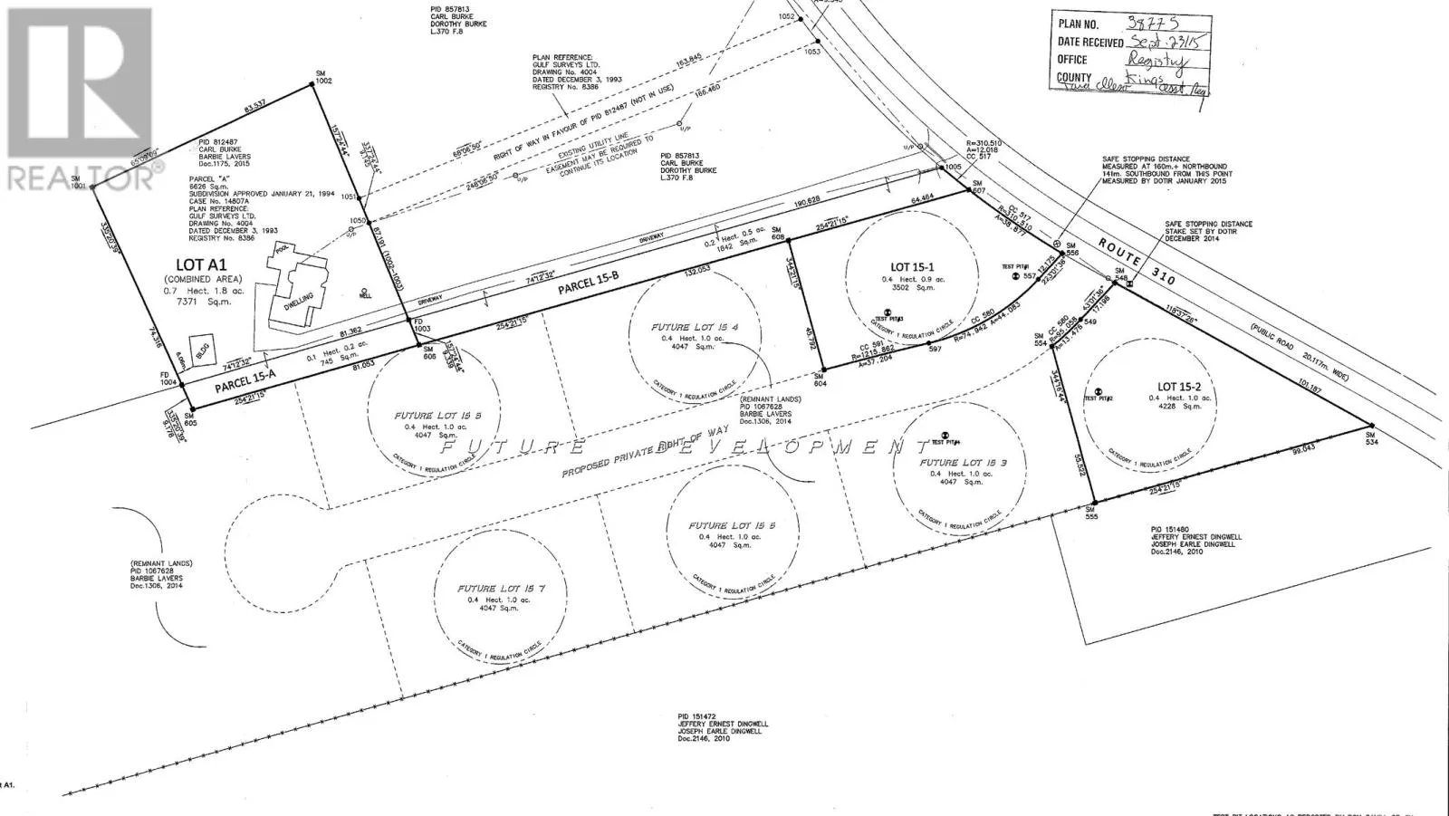
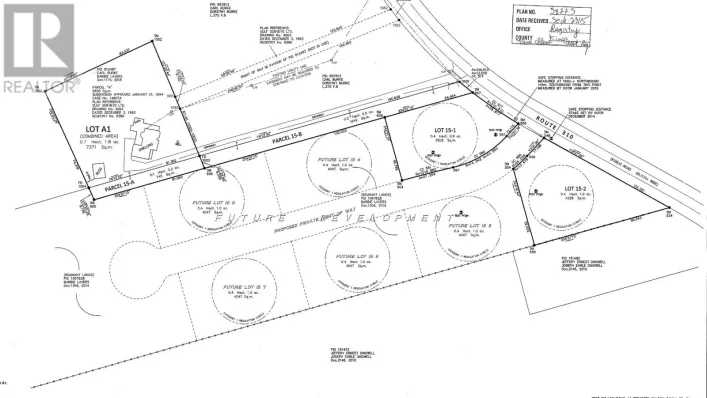
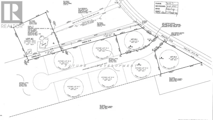
Welcome to your slice of paradise nestled in the breathtaking scenery of Fortune Bay. This pristine building lot offers an ideal opportunity to craft your dream escape amidst nature's finest offerings. Prime Location: Situated in close proximity to an array of summer activities, including boating, fishing, and swimming. Recreational Pleasures: Enjoy the convenience of nearby Paddle Boat and kayak rentals, perfect for exploring the tranquil waters. Generous Size: These spacious 1-acre lots provide ample space for crafting your ideal retreat Category 1 Perc Test: Ensuring optimal soil conditions, these lots are pre approved for septic system installation, simplifying your building process. Why Choose Fortune Bay? Nature's Playground: Embrace the natural beauty surrounding your future home. Stunning landscapes and serene waters await exploration. Ideal for Recreation: Whether you seek adventurous water sports or tranquil moments by the shore, this location caters to every lifestyle. Convenience Meets Serenity: Enjoy the tranquility of a secluded haven while still being conveniently close to recreational amenities. Act Now! Opportunities like this are rare. Seize the chance to build your dream haven in Fortune Bay today! Embark on your journey towards a life of scenic tranquility. Your future sanctuary awaits your touch. (id:27476)

Property Highlights

MLS® Number
202427638
Type
Vacant Land
Community Name
Fortune
Ownership Type
Freehold
Land Size
1 ac|1 - 3 acres

Building

Fireplace Present
No
Basement Type
Basement Features
Building Heating Type
Heating Fuel
Building Cooling Type

Utilities

Water
None
Utility Sewer
No sewage system

Location