Beech Point Road, Hamilton, Prince Edward Island C0B 1M0

Listed for:
$274,900
0 beds
0 baths
Listed 15 days ago
Beech Point Road, Hamilton, Prince Edward Island C0B 1M0

View all 11 photos

About

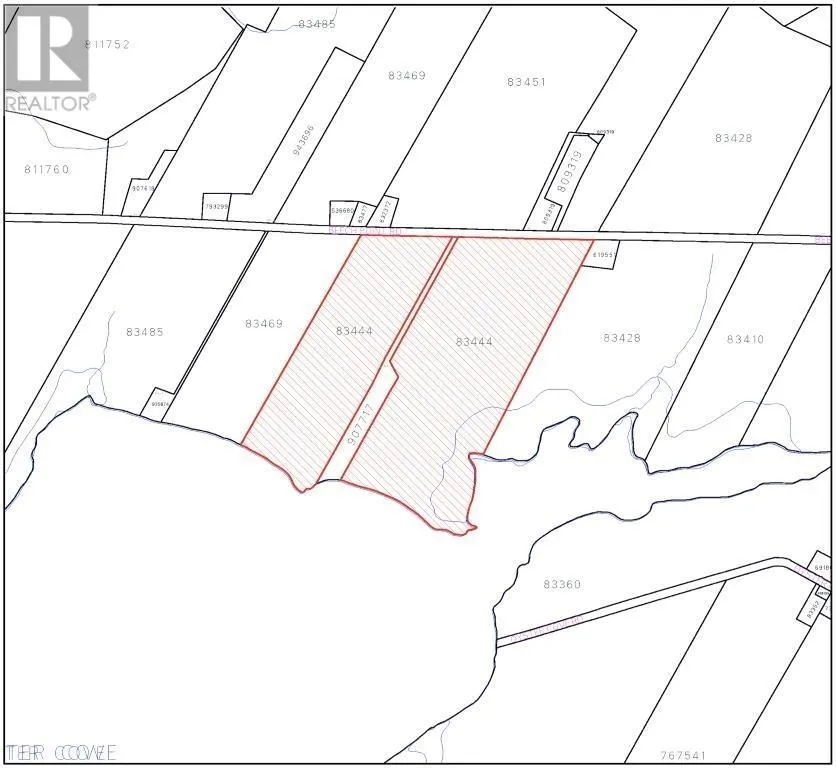
This breathtaking 30-acre waterfront property offers unparalleled views of Malpeque Bay facing south, with the City of Summerside visible across the water. It has 835 feet of waterfront and 700 feet of road frontage, this land is both expansive and picturesque. The property stretches 1,920 feet on the west side and 2,190 feet on the east, providing ample space for farming, development, or creating the perfect family estate. With 26 acres of farmable land, it's an ideal spot for those looking to cultivate or simply enjoy the beauty of PEI?s rural landscape. The location couldn?t be better?just a short drive south brings you to Summerside and Kensington, where you?ll find all the conveniences of city life. Head north, and within five minutes, you?ll reach Darnley, with Cabot Beach and Thunder Cove just a few minutes beyond. Whether you're looking for a peaceful retreat, a place to build with family, or a valuable investment, this property is a rare find. For those seeking even more space, an additional 50-acre waterfront farmland parcel is available for $399,900. Properties like this don?t come on the market often?don?t miss your chance to own a piece of PEI?s stunning waterfront! (id:27476)

Property Highlights

MLS® Number
202604776
Type
Agriculture
Community Name
Hamilton
Ownership Type
Freehold
Land Size
30 ac|10 - 49 acres

Building

Fireplace Present
No
Basement Type
None
Basement Features
Building Heating Type
Heating Fuel
Building Cooling Type

Utilities

Water
None
Utility Sewer
No sewage system

Location

Learn more about this property
Listing provided by:
CENTURY 21 NORTHUMBERLAND REALTY
MLS® number:
202604776
Agent:
Nicolle Morrison
*Indicates required field
Name is required
Email is required
Please enter a valid phone number (e.g., 416-111-1111).