6 Roy Stevens Bay, Candle Lake, Saskatchewan S0J 3E0

Listed for:
$57,900
0 beds
0 baths
Listed 154 days ago
Unknown for rent: 6 Roy Stevens Bay, Candle Lake, Saskatchewan S0J 3E0

View all 10 photos

Learn more about this property
Listing provided by:
eXp Realty
MLS® number:
SK009731
Agent:
Rick Valcourt
*Indicates required field
Name is required
Email is required
Please enter a valid phone number (e.g., 416-111-1111).

About

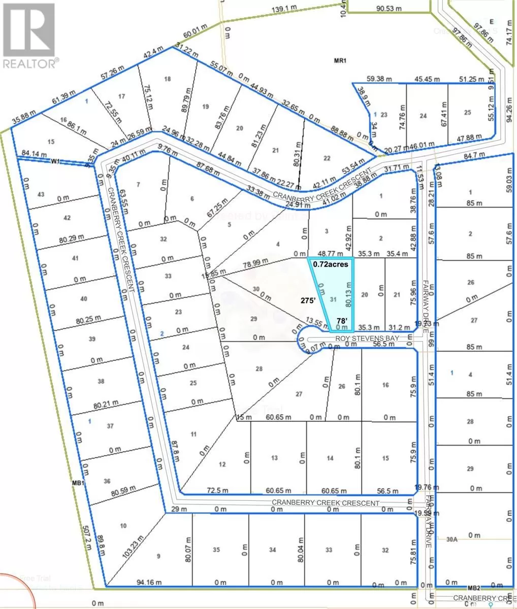
Affordable Lot Offered at just $57,900 MLS®, 6 Roy Stevens Bay in beautiful Cranberry Creek presents an incredible opportunity to secure your piece of paradise. This spacious 0.72-acre pie-shaped lot (78' x 262') provides the perfect setting for your dream cottage or RTM home — whether you envision a cozy getaway or a larger, luxurious retreat. The lot is fully serviced with natural gas, power, and telephone, and features excellent drainage, making it ready for your build. With no time restrictions, you can plan and build at your own pace. Residents enjoy free access to a 3-hole golf course and a community clubhouse, perfect for family gatherings and leisurely afternoons. Lots at this price and location don’t last. (id:27476)

Property Highlights

MLS® Number
SK009731
Type
Vacant Land
Ownership Type
Freehold
Land Size
0.71 ac

Building

Building Type
Unknown
Fireplace Present
No
Basement Type
Basement Features
Building Heating Type
Heating Fuel
Building Cooling Type

Location