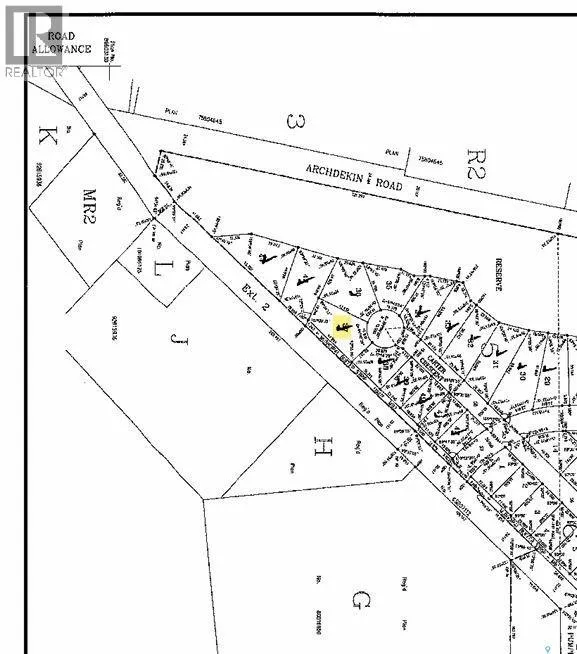
112 Carter Crescent, Cochin, Saskatchewan S0M 0L0

Listed for:
$49,900
0 beds
0 baths
Listed 176 days ago
Unknown for rent: 112 Carter Crescent, Cochin, Saskatchewan S0M 0L0

View all 3 photos

About

Here’s your chance to own a piece of lake life! This individual lot offers beautiful views overlooking Jackfish Lake, complete with power, gas, and water services already brought to the property. Whether you’re planning your everyday residence or a seasonal getaway, this location has it all—just 20 minutes to the Battlefords and under an hour to the ski resort for winter fun. Located in the Hunts Cove division, you’ll enjoy access to a secluded beach, while being only minutes away from the Cochin's public beach, tennis courts, playgrounds, ice cream shop, and convenience store/gas station. There are a total of 16 lots available, so don’t wait—secure yours today! Call for more details. (id:27476)

Property Highlights

MLS® Number
SK018768
Type
Vacant Land
Ownership Type
Freehold
Land Size
13939.2 sqft

Building

Building Type
Unknown
Fireplace Present
No
Basement Type
Basement Features
Building Heating Type
Heating Fuel
Building Cooling Type

Location

Learn more about this property
Listing provided by:
Dream Realty SK
MLS® number:
SK018768
Agent:
Janaya Pollard
*Indicates required field
Name is required
Email is required
Please enter a valid phone number (e.g., 416-111-1111).