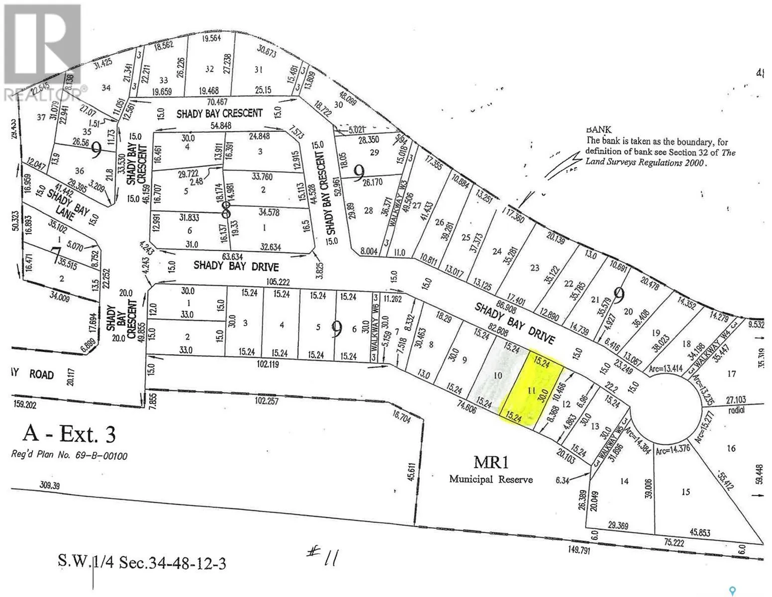
#11 Shady Bay Drive, Meeting Lake, Saskatchewan S0M 2L0

Listed for:
$32,500
0 beds
0 baths
Listed 102 days ago
Unknown for rent: #11 Shady Bay Drive, Meeting Lake, Saskatchewan S0M 2L0

View all 2 photos

Learn more about this property
Listing provided by:
Royal LePage Saskatoon Real Estate
MLS® number:
SK002474
Agent:
George R West
*Indicates required field
Name is required
Email is required
Please enter a valid phone number (e.g., 416-111-1111).

About

Shady Bay Beach nestled on the shores of Meeting Lake. Meeting Lake is located between 3 major cities. Power to site. Boat launch access. Buyer to pay GST if applicable. (id:27476)

Property Highlights

MLS® Number
SK002474
Type
Vacant Land
Ownership Type
Freehold
Land Size
0.11 ac

Building

Building Type
Unknown
Fireplace Present
No
Basement Type
Basement Features
Building Heating Type
Heating Fuel
Building Cooling Type

Location