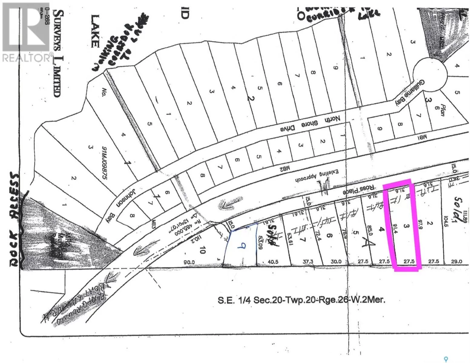
3 Ross Place, North Grove, Saskatchewan S6H 7S9

Listed for:
$74,500
0 beds
0 baths
Listed 291 days ago
Unknown for rent: 3 Ross Place, North Grove, Saskatchewan S6H 7S9

View all 3 photos

Learn more about this property
Listing provided by:
Royal LePage® Landmart
MLS® number:
SK994108
Agent:
Donna Paul
*Indicates required field
Name is required
Email is required
Please enter a valid phone number (e.g., 416-111-1111).

About

With only a short drive from Moose Jaw to the north side of Buffalo Pound Lake, you will find the perfect place to build your dream home or cottage. The lot is located just a mile off HWY 2 on paved road. The .69 acres of land with 104’ of frontage is spacious enough for your dream home, and outdoor area for entertaining family/friends, and planting a garden and still lots of room for all your recreational toys! At the front of the property is where the utilities are located- Power, Energy, and telephone. A Geotech Survey has been completed. Public Boat Launch is available for you to launch your watercraft or you can apply, to get a space to lease, for your own dock. Prairie South School Bus, for City of Moose Jaw, picks up/drops off. (id:27476)

Property Highlights

MLS® Number
SK994108
Type
Vacant Land
Ownership Type
Freehold
Land Size
0.69 ac

Building

Building Type
Unknown
Fireplace Present
No
Basement Type
Basement Features
Building Heating Type
Heating Fuel
Building Cooling Type

Location