4 Stanley Place, Saskatoon, Saskatchewan S7L 1C3

Listed for:
$90,000
0 beds
0 baths
Listed 157 days ago
Unknown for rent: 4 Stanley Place, Saskatoon, Saskatchewan S7L 1C3

View all 4 photos

Learn more about this property
Listing provided by:
Boyes Group Realty Inc.
MLS® number:
SK009236
Agent:
Gerry Scott
*Indicates required field
Name is required
Email is required
Please enter a valid phone number (e.g., 416-111-1111).

About

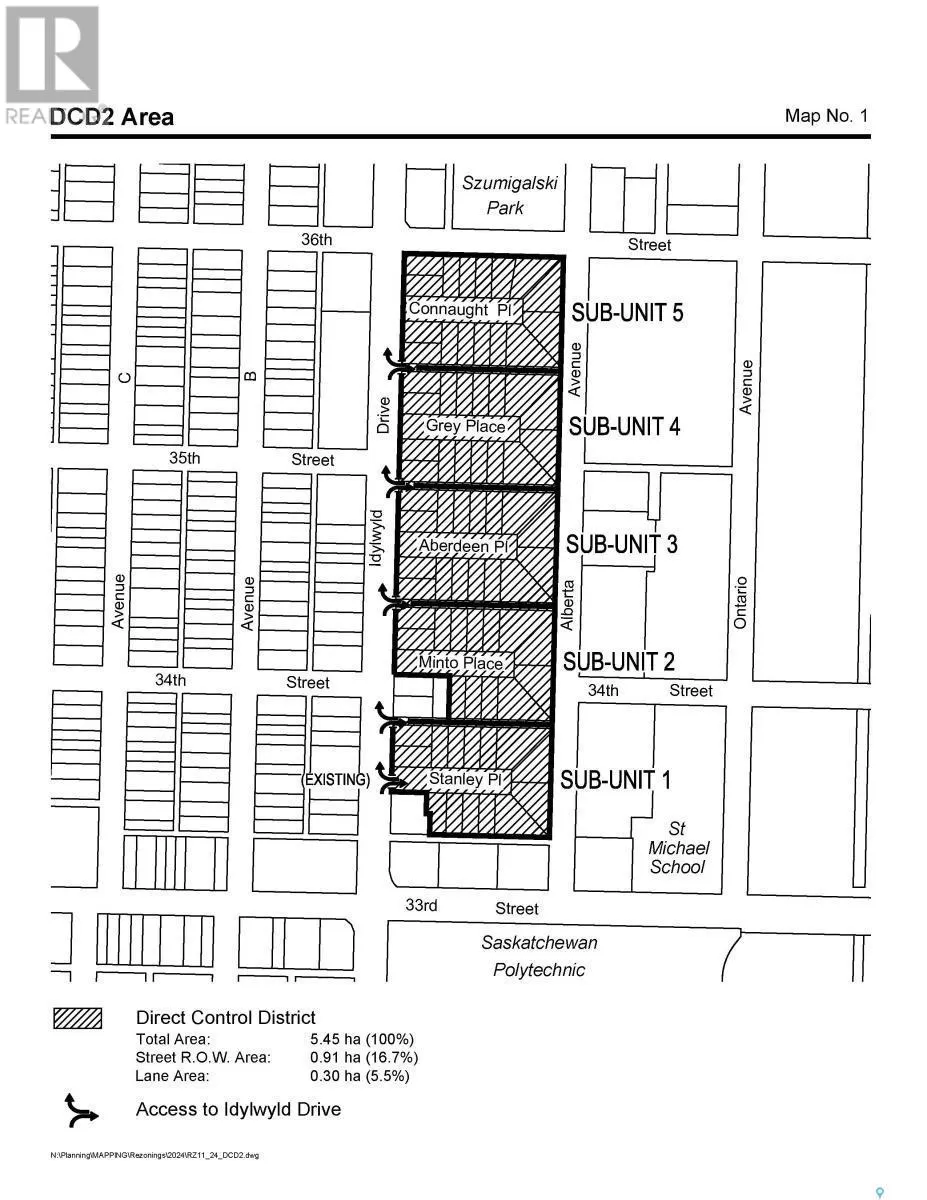
Vacant Lot for sale in DCD2 zoning. Can be packaged with other lots to create larger packages. Lot has already been cleared with substantial costs going into removing the house. Potential opportunity to package with other lots on Stanley Place. The city has a proposed plan in place for rezoning to CS1 / CM1 / CR2. The City of Saskatoon's Corridor Planning team is proposing changes to the zoning and land use regulations for the DCD2 area. Stanley Place is sub-unit 1 in the DCD2 zoning district; information can be found on the city website. (id:27476)

Property Highlights

MLS® Number
SK009236
Type
Vacant Land
Ownership Type
Freehold
Land Size
4391 sqft

Building

Building Type
Unknown
Fireplace Present
No
Basement Type
Basement Features
Building Heating Type
Heating Fuel
Building Cooling Type

Location