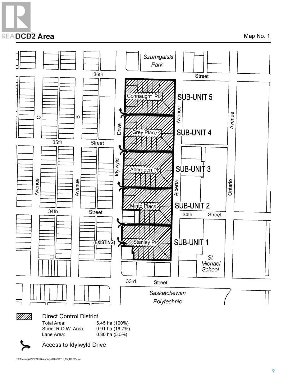
5 Stanley Place, Saskatoon, Saskatchewan S7L 1C3

Listed for:
$174,900
0 beds
0 baths
Listed 131 days ago
Unknown for rent: 5 Stanley Place, Saskatoon, Saskatchewan S7L 1C3

View all 4 photos

Learn more about this property
Listing provided by:
Boyes Group Realty Inc.
MLS® number:
SK011978
Agent:
Colleen Dixon
*Indicates required field
Name is required
Email is required
Please enter a valid phone number (e.g., 416-111-1111).

About

Vacant Lot. Lot has already been cleared with substantial costs going into removing house. Potential opportunity to package with other lots on Stanley Place. City has approved for CR2 zoning he City of Saskatoon's Corridor Planning. (id:27476)

Property Highlights

MLS® Number
SK011978
Type
Vacant Land
Ownership Type
Freehold
Land Size
9580 sqft

Building

Building Type
Unknown
Fireplace Present
No
Basement Type
Basement Features
Building Heating Type
Heating Fuel
Building Cooling Type

Location