103, 5407 50 Street, Ponoka, Alberta T4J 1H9

Listed for:
$17
0 beds
0 baths
Listed 147 days ago
Commercial Mix for rent: 103, 5407 50 Street, Ponoka, Alberta T4J 1H9

View all 20 photos

About

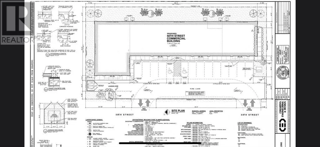
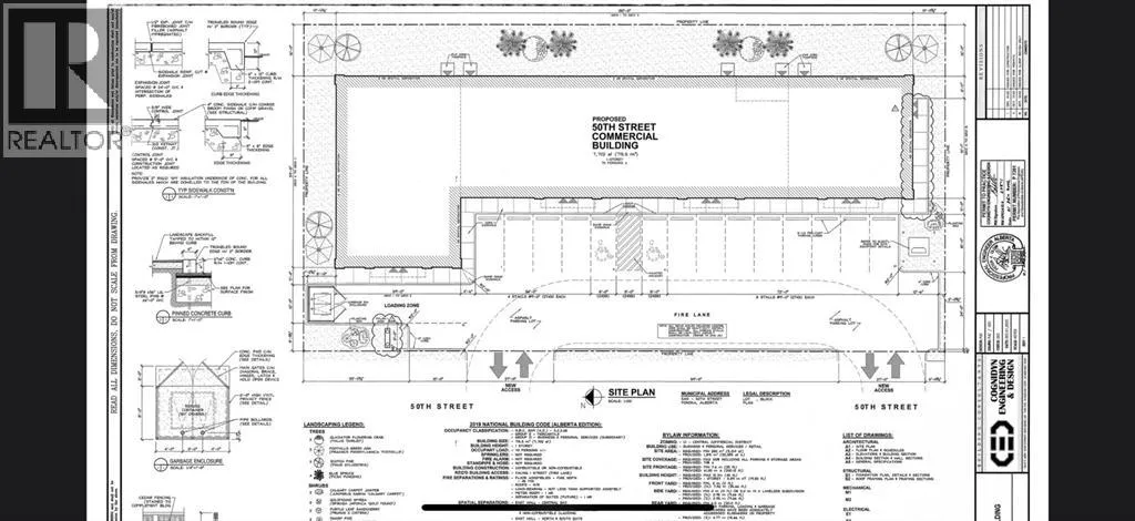
Looking to start your new business venture, or are you wanting to expand? have a look at this under construction lease space to be completed in 2025 in the ever expanding town of Ponoka. This multi unit space is full of possibilities, located in a high traffic location. The possibilities are limitless for this future commercial space. Monthly rental amount is $2,182 plus the NNN cost estimated to be $3 per square feet. (id:27476)

Property Highlights

MLS® Number
A2219693
Type
Other
Community Name
Central Ponoka
Land Size
Unknown

Building

Building Type
Commercial Mix
Square Footage
1540 sqft
Fireplace Present
No
Basement Type
Basement Features
Building Heating Type
Forced air
Heating Fuel
Natural gas
Building Cooling Type
Fully air conditioned

Location

Learn more about this property
Listing provided by:
Century 21 Gillany Realty
MLS® number:
A2219693
Agent:
Rizwan Syed
*Indicates required field
Name is required
Email is required
Please enter a valid phone number (e.g., 416-111-1111).