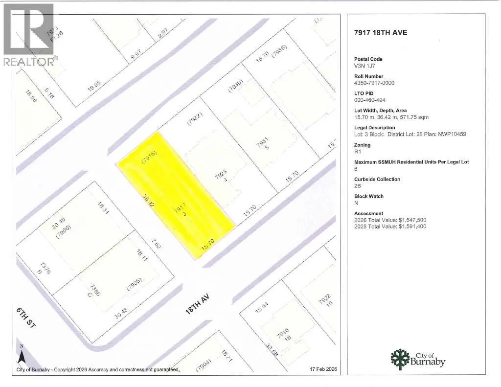
7917 18th Avenue, Burnaby, British Columbia V3N 1J7

Listed for:
$1,399,900
2 beds
1 baths
Listed 23 days ago
House for rent: 7917 18th Avenue, Burnaby, British Columbia V3N 1J7

View all 40 photos

About

SSMUH - Rare Dual Street Exposure in Burnaby. 51.5 ft x 119.5 ft lot (6,154 sq ft) designated Small-Scale Multi-Unit Housing - permitting up to 6 units per lot (buyer to verify with City of Burnaby). Exceptionally rare opportunity with 18th Avenue frontage and 19th Avenue at the rear, plus side lane access - ideal for redevelopment flexibility, access planning, and potential multi-entry design. Currently a livable 2-bedroom home and unfinished basement, offering holding income while you plan your project. Perfect for Developers, Investors First-time buyers looking to secure land value, multi-generational housing concepts. Lots with street access front and back in Burnaby are extremely limited, this configuration opens up significant design potential. Call today to explore the possibilities. *Note video & photos are virtually staged* (id:27476)

Property Highlights

MLS® Number
R3097424
Type
Single Family
Ownership Type
Freehold
Land Size
6154 sqft
Parking Space Total
1

Building

Building Type
House
Storeys
1.00
Square Footage
1990 sqft
Bathrooms Total
1
Bedrooms Total
2
Amenities
Recreation, Shopping
Fireplace Present
Yes
Basement Type
Unknown (Unfinished)
Basement Features
Unknown
Building Heating Type
Forced air
Heating Fuel
Building Cooling Type

Location

Learn more about this property
Listing provided by:
RE/MAX Crest Realty
MLS® number:
R3097424
Agent:
Phil Moore
*Indicates required field
Name is required
Email is required
Please enter a valid phone number (e.g., 416-111-1111).

Street Spotlight - For sale