20107 Beacon Road|hope, Hope, British Columbia V0X 1L0

Listed for:
$1,149,000
5 beds
2 baths
Listed 123 days ago
House for rent: 20107 Beacon Road|hope, Hope, British Columbia V0X 1L0

View all 9 photos

About

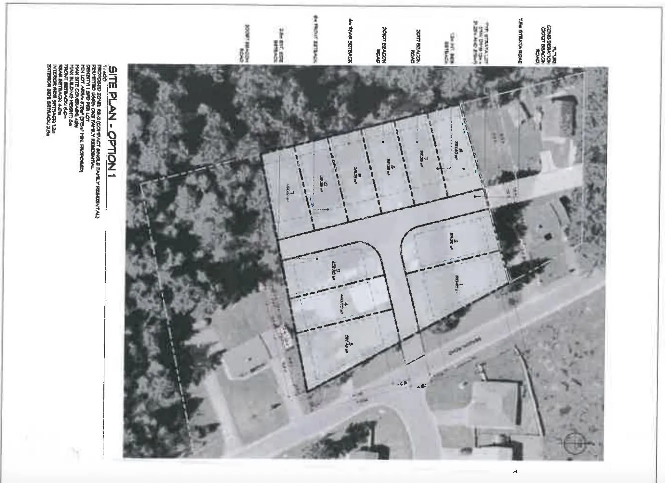
One-acre property featuring a 5-bedroom home currently rented for $2,800 per month. Potential to build a new home and shop, or purchase together with 20117 Beacon Rd to create up to 11 strata lots. City water and sewer services are available at the property line. Schools and all amenities are conveniently located nearby. (id:27476)

Property Highlights

MLS® Number
R3058472
Type
Single Family
Ownership Type
Freehold
Land Size
1 ac

Building

Building Type
House
Storeys
2.00
Square Footage
1918 sqft
Bathrooms Total
2
Bedrooms Total
5
Fireplace Present
Yes
Basement Type
Full
Basement Features
Building Heating Type
Forced air
Heating Fuel
Natural gas
Building Cooling Type

Location

Learn more about this property
Listing provided by:
Century 21 Coastal Realty Ltd.
MLS® number:
R3058472
Agent:
Aman Hayer
*Indicates required field
Name is required
Email is required
Please enter a valid phone number (e.g., 416-111-1111).