20117 Beacon Road|hope, Hope, British Columbia V0X 1L2

Listed for:
$595,000
0 beds
0 baths
Listed 45 days ago
20117 Beacon Road|hope, Hope, British Columbia V0X 1L2

View all 4 photos

Learn more about this property
Listing provided by:
Century 21 Coastal Realty Ltd.
MLS® number:
R3058516
Agent:
Aman Hayer
*Indicates required field
Name is required
Email is required
Please enter a valid phone number (e.g., 416-111-1111).

About

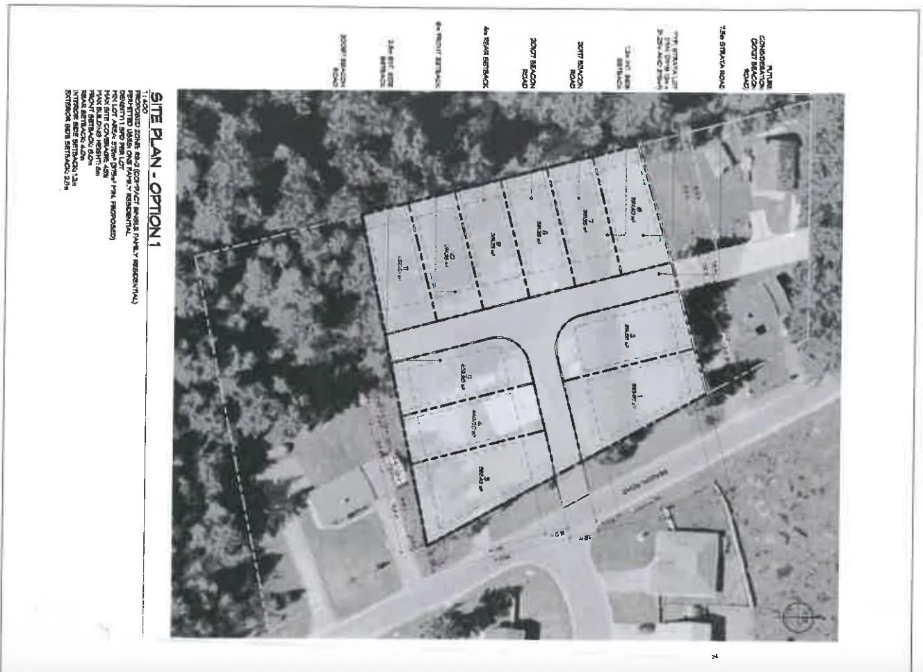
Half-acre lot available to build your dream home, or purchase together with 20107 Beacon Rd to create up to 11 strata lots. City water and sewer services are available at the property line. The school and all amenities are located nearby. (id:27476)

Property Highlights

MLS® Number
R3058516
Type
Vacant Land
Ownership Type
Freehold
Land Size
0.44 ac

Building

Fireplace Present
No
Basement Type
Basement Features
Building Heating Type
Heating Fuel
Building Cooling Type

Location