4495 Nottingham Road Lot# 2, Kelowna, British Columbia V1W 1V1

Listed for:
$1,250,000
0 beds
0 baths
Listed 9 days ago
Other for rent: 4495 Nottingham Road Lot# 2, Kelowna, British Columbia V1W 1V1

View all 18 photos

About

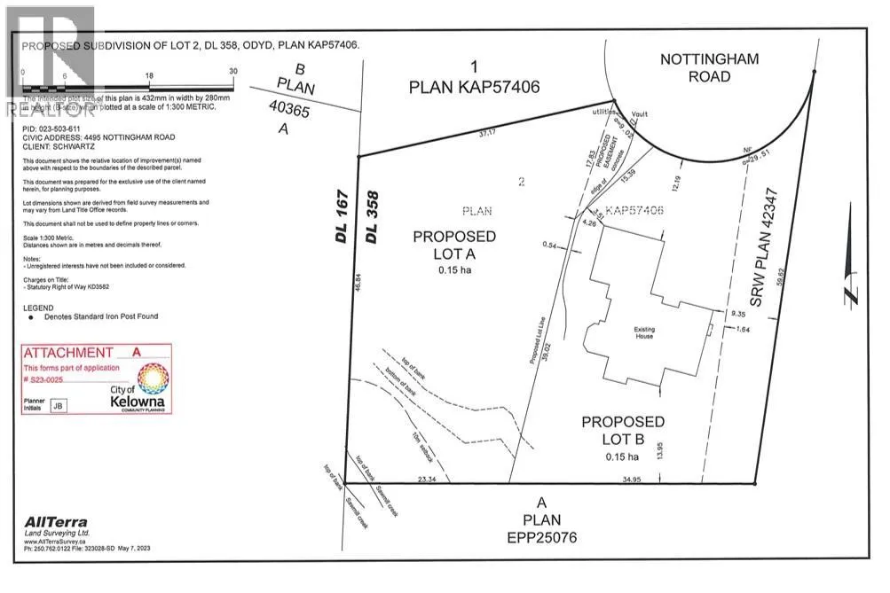
Awarded “Best Urban Forest” in Kelowna for 2025, this proposed 0.37-acre lot offers a rare opportunity to build in the heart of the Lower Mission. Set on a quiet cul-de-sac and surrounded by mature trees, this future homesite blends natural beauty with urban convenience. RU1 zoning allows for up to 4 dwelling units (with City approval), and the site may support a walkout design. Sawmill Creek borders the south boundary, adding privacy and charm. Just a short walk to Sarsons Beach, DeHart Park, H2O Centre, top-rated schools, and local shops. Subdivision is in progress and the lot is being sold subject to final registration. PLR and DCCs are based on a single-family home. Higher density may trigger additional fees and servicing costs. The current owner will finalize the subdivision and arrange servicing. This is a unique chance to build in one of Kelowna’s most established and desirable neighborhoods. (id:27476)

Property Highlights

MLS® Number
10380376
Type
Vacant Land
Ownership Type
Freehold
Land Size
0.37 ac|under 1 acre

Building

Building Type
Other
Fireplace Present
No
Basement Type
Basement Features
Building Heating Type
Heating Fuel
Building Cooling Type

Utilities

Water
Municipal water

Location

Learn more about this property
Listing provided by:
Royal LePage Kelowna
MLS® number:
10380376
Agent:
Blake Hilts
*Indicates required field
Name is required
Email is required
Please enter a valid phone number (e.g., 416-111-1111).