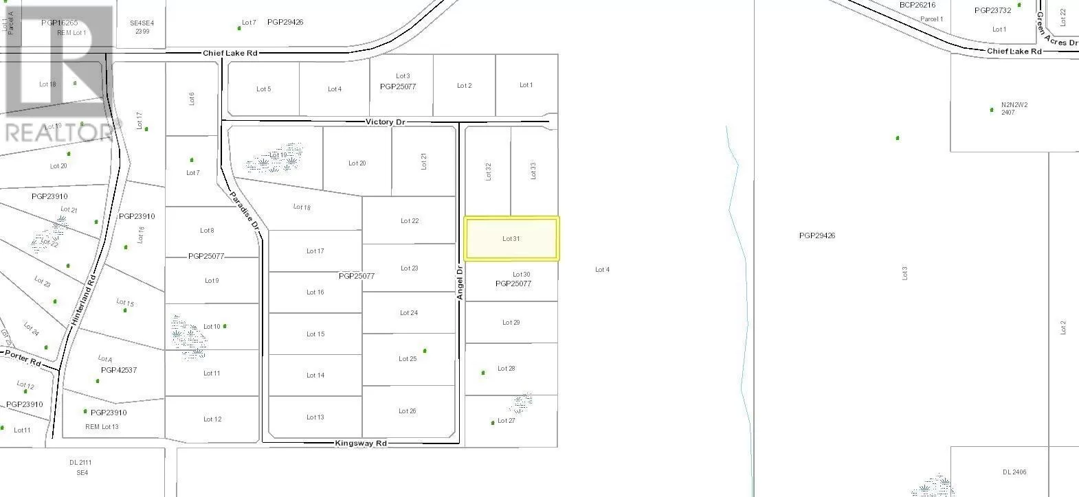
Lot 31 Angel Drive, Prince George, British Columbia V2K 5J6

Listed for:
$114,900
0 beds
0 baths
Listed 135 days ago
Lot 31 Angel Drive, Prince George, British Columbia V2K 5J6

View all 3 photos

Learn more about this property
Listing provided by:
MLS® number:
R2947704
Agent:
Carrie Nicholson
*Indicates required field
Name is required
Email is required
Please enter a valid phone number (e.g., 416-111-1111).

About

* PREC - Personal Real Estate Corporation. Paradise Estates, 20 Minutes from downtown Prince George and ready for your building plans. Enjoy the clean fresh air of rural living. The Hart Mall is 10 minutes away for shopping and amenities. Buyer to connect to the well at their own expense and satisfy themselves. Other lots are also available in this subdivision off Chief Lake Road. Lot size is approximate, Buyer to verify if deemed important. (id:27476)

Property Highlights

MLS® Number
R2947704
Type
Vacant Land
Ownership Type
Freehold
Land Size
4 ac

Building

Fireplace Present
No
Basement Type
Basement Features
Building Heating Type
Heating Fuel
Building Cooling Type

Utilities

Water
Drilled Well

Location