Lot 10 Alexander Drive, Baddeck, Nova Scotia B0E 1B0

Listed for:
$60,000
0 beds
0 baths
Listed 141 days ago
Lot 10 Alexander Drive, Baddeck, Nova Scotia B0E 1B0

View all 6 photos

About

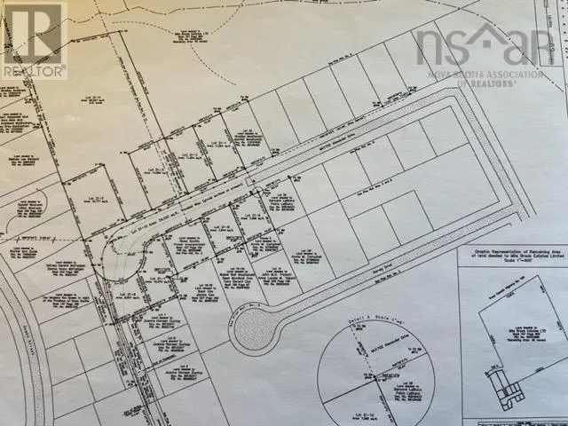
North end of Jones Street. 6,370 square-foot section of road between Alexander Drive and Jones Street. (id:27476)

Property Highlights

MLS® Number
202514230
Type
Vacant Land
Community Name
Baddeck
Ownership Type
Freehold
Land Size
0.1462 ac

Building

Fireplace Present
No
Basement Type
Basement Features
Building Heating Type
Heating Fuel
Building Cooling Type

Utilities

Water
None
Utility Sewer
No sewage system

Location

Learn more about this property
Listing provided by:
Harvey Realties Limited
MLS® number:
202514230
Agent:
Catherine Harvey
*Indicates required field
Name is required
Email is required
Please enter a valid phone number (e.g., 416-111-1111).

Community Spotlight: Homes For sale in Your Neighborhood