Lot 4 Alexander Drive, Baddeck, Nova Scotia B0E 1B0

Listed for:
$175,000
0 beds
0 baths
Listed 141 days ago
Lot 4 Alexander Drive, Baddeck, Nova Scotia B0E 1B0

View all 9 photos

About

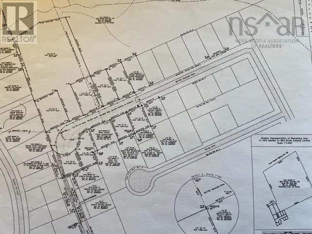
Lot 4 on Alexander Drive in Baddeck. This property features 2.21 acres (+-) with a 66-foot section from Alexander Drive towards the wider section. Land is level and much is cleared. There is a twenty-foot storm sewer easement along the eastern boundary. The owners of the subject are open to discuss an offer on the lands behind/beside the subject if the purchaser of the subject property wishes to purchase those lands as well. (id:27476)

Property Highlights

MLS® Number
202514237
Type
Vacant Land
Community Name
Baddeck
Ownership Type
Freehold
Land Size
2.21 ac

Building

Fireplace Present
No
Basement Type
Basement Features
Building Heating Type
Heating Fuel
Building Cooling Type

Utilities

Water
Municipal water
Utility Sewer
Municipal sewage system

Location

Learn more about this property
Listing provided by:
Harvey Realties Limited
MLS® number:
202514237
Agent:
Catherine Harvey
*Indicates required field
Name is required
Email is required
Please enter a valid phone number (e.g., 416-111-1111).

Community Spotlight: Homes For sale in Your Neighborhood