X-1 1289 Highway 2, Lantz, Nova Scotia B2S 1Z2

Listed for:
$149,900
0 beds
0 baths
Listed 4 days ago
X-1 1289 Highway 2, Lantz, Nova Scotia B2S 1Z2

View all 5 photos

Learn more about this property
Listing provided by:
Royal LePage Atlantic (Enfield)
MLS® number:
202521908
Agent:
Tim Isenor
*Indicates required field
Name is required
Email is required
Please enter a valid phone number (e.g., 416-111-1111).

About

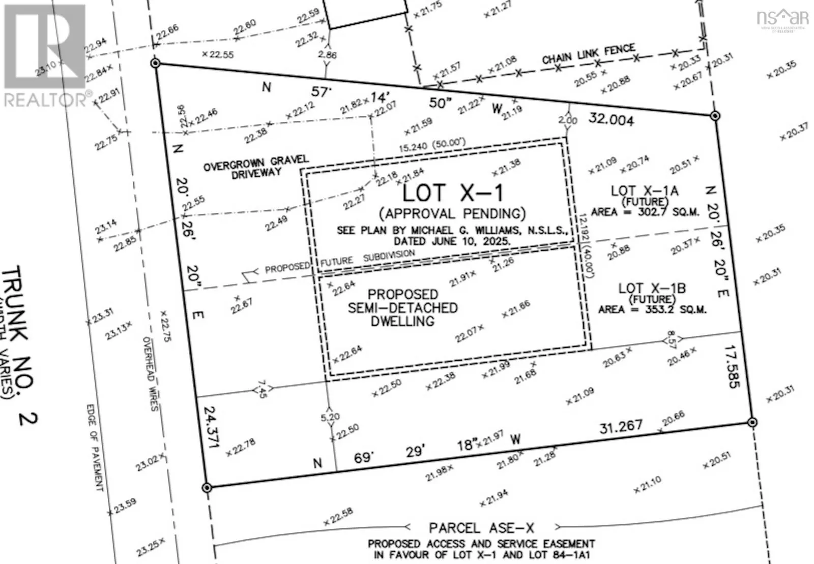
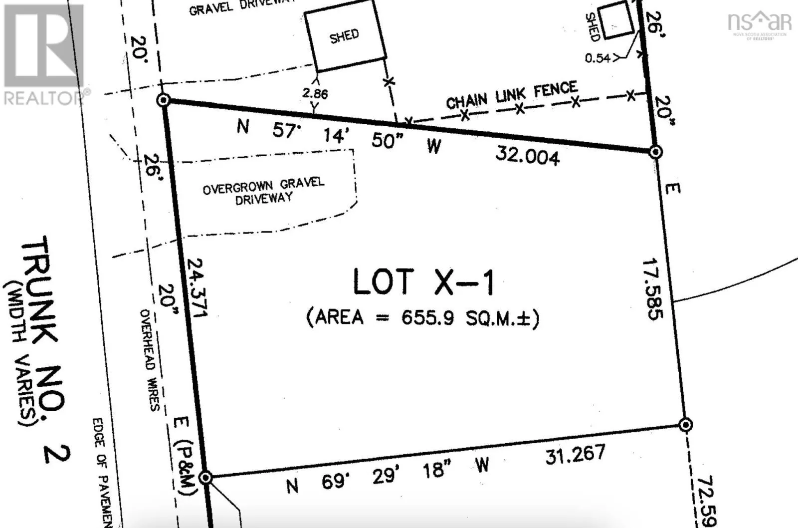
Lantz Connector exit off hwy 102 At the roundabout, take the 3rd exit onto Hwy 2/NS-2 "DUPLEX LOT!" Great location in a friendly safe community close to schools, Sportsplex, shopping, banking, Aquatic Center and much more. Just a few minutes from safe driving on divided Highway 102 with the airport only 12 minutes away and Halifax just 36 minutes away. This lot allows you to build a duplex and sell each side separately for added value. (id:27476)

Property Highlights

MLS® Number
202521908
Type
Vacant Land
Community Name
Lantz
Ownership Type
Freehold
Land Size
0.1621 ac

Building

Fireplace Present
No
Basement Type
Basement Features
Building Heating Type
Heating Fuel
Building Cooling Type

Utilities

Water
Municipal water
Utility Sewer
Municipal sewage system

Location