2a - 544 Bayfield Street, Barrie, Ontario L4M 5A2

Listed for:
$22
0 beds
0 baths
Listed 74 days ago
2a - 544 Bayfield Street, Barrie, Ontario L4M 5A2

View all 3 photos

Learn more about this property
More info:
Sutton Group Innovative Realty Inc.
MLS® number:
S12283616
Agent:
Darya Strilyana
Phone:
*Indicates required field
Name is required
Email is required
Please enter a valid phone number (e.g., 416-111-1111).

About

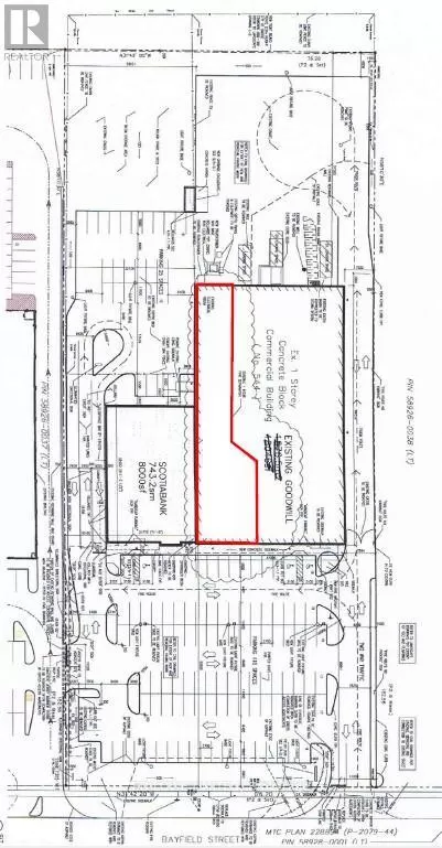
Cross Streets: 400 North to Bayfield St & Hanmer St. ** Directions: Hwy 400 to Bayfield North, before Hanmer St. 5000 s.f. Unit for Lease in high profile neighborhood shopping centre at Bayfield St location on the Golden Mile. Unit between Scotiabank and Pet Smart. Great exposure with street traffic counts over 30,000 daily. Ample parking. Easy access to Hwy 400. Close to other shopping, restaurants, recreational centre. $22.00/s.f./yr & TMI $10.00/s.f./yr + utilities, HST (id:27476)

Property Highlights

MLS® Number
S12283616
Type
Retail
Community Name
Bayfield
Land Size
250 x 600 FT

Building

Square Footage
5000 sqft
Amenities
Highway, Recreation
Fireplace Present
No
Basement Type
Basement Features
Building Heating Type
Forced air
Heating Fuel
Natural gas
Building Cooling Type
Fully air conditioned

Utilities

Water
Municipal water

Location

Street Spotlight - For lease