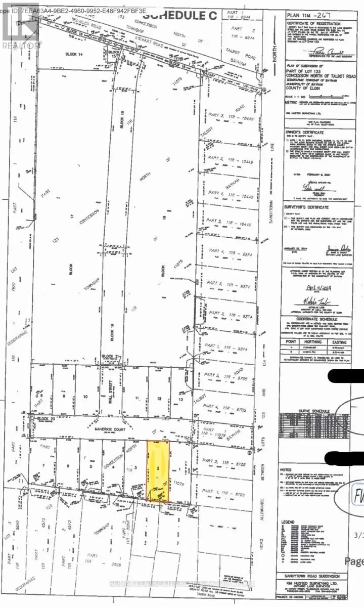
56111 Maverick Court, Bayham, Ontario N0J 1Y0

Listed for:
$249,900
0 beds
0 baths
Listed 77 days ago
56111 Maverick Court, Bayham, Ontario N0J 1Y0

View all 6 photos

Learn more about this property
Listing provided by:
RE/MAX CENTRE CITY REALTY INC.
MLS® number:
X12383039
Agent:
Ben Reddekopp
*Indicates required field
Name is required
Email is required
Please enter a valid phone number (e.g., 416-111-1111).

About

Cross Streets: Sandytown Rd. ** Directions: From Tillsonburg, travel south on HWY #19 to main intersection in Straffordville (Heritage Line), go west on Heritage Line, to Sandytown Rd., go North to Maverick Crt., Property is on the South side of the Street. Welcome to Maverick Court, to a great building lot that is ready to build a home that could suit your Family just right. Just over 65 feet of frontage, allows for Ranch Style, Bungalows or two-story Homes. This is a newer development and is designed to support Modern day living, services like high speed internet, hydro, natural gas and municipal sewer are located at lot line. There are several homes already built, and it's evident that this will be a beautiful addition to the town of Straffordville. It's a short commute to Tillsonburg and Aylmer plus London and Woodstock are only approx. 45 min away. HST has been paid for this Lot, Water Well is also included in the purchase price and will be drilled when a desired location is established. I would encourage you to look into this and see if this could be a place to call home. (id:27476)

Property Highlights

MLS® Number
X12383039
Type
Vacant Land
Community Name
Rural Bayham
Land Size
65.6 x 172.1 FT ; 65.6x172.1x65.9x177.9|under 1/2 acre

Building

Amenities
Schools
Fireplace Present
No
Basement Type
Basement Features
Building Heating Type
Heating Fuel
Building Cooling Type

Utilities

Water
Drilled Well

Location