260 King Street W, Brockville, Ontario K6V 3S1

Listed for:
$598,500
0 beds
0 baths
Listed 19 days ago
260 King Street W, Brockville, Ontario K6V 3S1

View all 4 photos

About

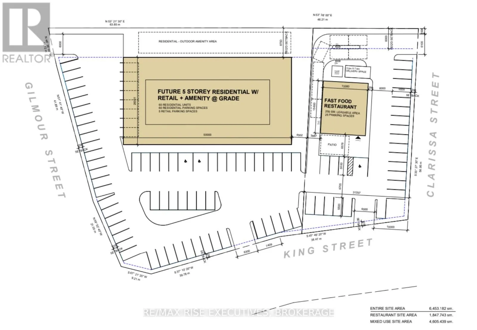
Cross Streets: Clarissa and King Street West. ** Directions: Across from Metro corner of King Street West and Clarissa Street Brockville directly beside Score Retail store. Exceptional opportunity to acquire a premier downtown Brockville corner (Sale is of Raw Land) with a Letter of Intent in place for a drive-thru development (terms subject to confidentiality). Details are available upon execution of an NDA. The LOI conditions are intended to run with the sale, and formal lease negotiations are underway. This offers a potential build-to-suit drive-thru restaurant opportunity with a major franchise tenant, subject to site plan approval and end-buyer development requirements. The Seller also owns an adjacent single-tenant property, and expanded acquisition opportunities may be considered. Location highlights: Key corner directly opposite Metro in downtown Brockville, less than one block to the Brockville Arts Centre, approximately 800 metres to Brockville City Hall, Immediate area momentum: adjacent rear lands recently developed with two multi-residential apartment buildings, approximately 500 metres to the recently approved Dailey Lot development (128 residential units). Further details cannot be disclosed without a signed NDA. Long Form of Lease for Tenant may be subject to first right of refusal to purchase by Tenant. (id:27476)

Property Highlights

MLS® Number
X12695678
Type
Retail
Community Name
810 - Brockville
Land Size
0.457 ac

Building

Square Footage
2500 sqft
Fireplace Present
No
Basement Type
Basement Features
Building Heating Type
Forced air
Heating Fuel
Natural gas
Building Cooling Type
Fully air conditioned

Utilities

Water
Municipal water

Location

Learn more about this property
Listing provided by:
RE/MAX RISE EXECUTIVES, BROKERAGE
MLS® number:
X12695678
Agent:
Patrick N Hulley
*Indicates required field
Name is required
Email is required
Please enter a valid phone number (e.g., 416-111-1111).