23819 Coldstream Road, Middlesex Centre, Ontario N0M 2A0

Listed for:
$949,000
0 beds
0 baths
Listed 83 days ago
23819 Coldstream Road, Middlesex Centre, Ontario N0M 2A0

View all 1 photos

About

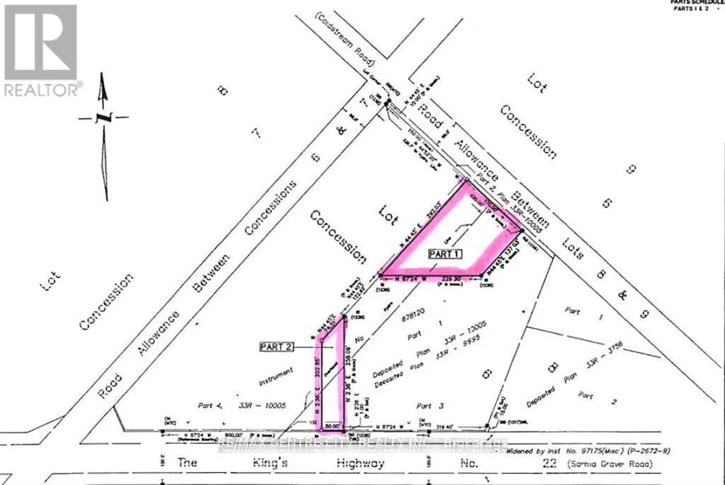
Cross Streets: Egremont Drive. ** Directions: Located just off of Egremont Drive on the west side of Coldstream Road. Located on the south side of Coldstream Road just off of Egremont Drive. Excellent opportunity to purchase an industrial lot. Approximately one acre of vacant land zoned industrial CM2. Sale of the property is subject to a severance from the balance of the Seller's property at 23819 Coldstream Road. Severance will take approximately 90 days and will be completed by the Seller at its expense. (id:27476)

Property Highlights

MLS® Number
X12725712
Type
Vacant Land
Community Name
Rural Middlesex Centre
Land Size
0.96 ac

Building

Square Footage
1 ac
Fireplace Present
No
Basement Type
Basement Features
Building Heating Type
Heating Fuel
Building Cooling Type

Location

Learn more about this property
Listing provided by:
RE/MAX CENTRE CITY REALTY INC.
MLS® number:
X12725712
Agent:
Mel Vetero
*Indicates required field
Name is required
Email is required
Please enter a valid phone number (e.g., 416-111-1111).

Community Spotlight: Homes For sale in Your Neighborhood