1801 Hwy 71, Nestor Falls, Ontario P0X 1K0

Listed for:
$749,000
0 beds
0 baths
Listed 104 days ago
1801 Hwy 71, Nestor Falls, Ontario P0X 1K0

View all 50 photos

Learn more about this property
Listing provided by:
RE/MAX FIRST CHOICE REALTY LTD.
MLS® number:
TB252413
Agent:
Greg Kirby
*Indicates required field
Name is required
Email is required
Please enter a valid phone number (e.g., 416-111-1111).

About

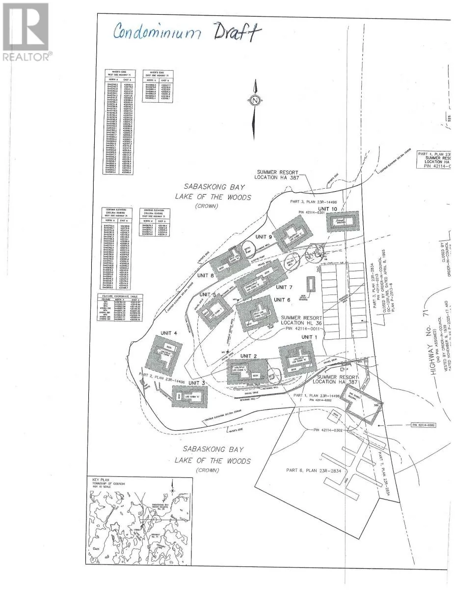
Located 2-kms north of Nestor Falls at 1801 Highway 71. New Listing. Established in 1932, Red Deer Lodge was a premier Canadian hunting & fishing resort destination for many years. Located one mile north of Nestor Falls on Sabaskong Bay, Lake of the Woods, the 1.64 acre peninsula features 830 feet of rock and boulder studded shoreline owned to the high water mark. The low profile property offers south, west and north exposure with no immediate neighbors. The terrain is level with rock outcrops and thick towering pines. In the fall of 2014, fire razed the main lodge and four outbuildings. There are 10 seasonal housekeeping cabins on the property ranging from 362 s/f to 703 s/f. Cabins are constructed of vertical log and/or horizontal log and some have partial frame additions. Each cabin has a kitchenette, one or two bedrooms, a bathroom, and some have living rooms. Cabins have propane space heaters and stoves. In 2015, a three-season utility cabin was constructed to house the 200-amp electrical service, water system pressure tank and laundry facilities. Near the water's edge is a boathouse with fish cleaning station and sundeck plus a concrete boat ramp. Amenities include underground hydro to the property with overhead lines to the cabins; 200-amp electrical service; 245' drilled well (2002); electric hot water tanks and two septic holding tanks. There is cellular service at this location and WiFi is available. This property could be purchased as a private family compound, operated as rental housekeeping cabins, or developed and sold as individual condominium cabins. The owners have a preliminary condominium draft survey. Advance notice required for viewings please. HST applies to the purchase. (id:27476)

Property Highlights

MLS® Number
TB252413
Type
Other
Community Name
Nestor Falls
Land Size
1.64 ac|1 - 3 acres

Building

Square Footage
5119 sqft
Exterior Finish
Log
Fireplace Present
No
Basement Type
Basement Features
Building Heating Type
Space Heater
Heating Fuel
Propane
Building Cooling Type

Utilities

Water
Drilled Well
Utility Sewer
Holding Tank

Location