516 Oakwood Drive, Pickering, Ontario L1W 2M7

Listed for:
$2,498,800
0 beds
0 baths
Listed 33 days ago
516 Oakwood Drive, Pickering, Ontario L1W 2M7

View all 5 photos

Learn more about this property
Listing provided by:
REALTY EXECUTIVES PLUS LTD
MLS® number:
E12180115
Agent:
Robert Mario Khan
*Indicates required field
Name is required
Email is required
Please enter a valid phone number (e.g., 416-111-1111).

About

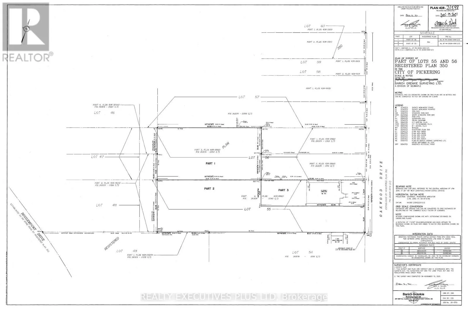
Cross Streets: Oakwood Dr S Of Toynevale Rd. ** Directions: South of Toynevale On Oakwood. Development Opportunity! Attention Builders! Investors! Land Developers! Prime Building Lots Available in Prestigious South Pickering! 3 - 5 Potential Premium 50FT X 200FT Building Lots with Mountain Ash Road Extension! Beautiful Location being Steps to Waterfront! Excellent Opportunity to Develop in this Exclusive Community Surrounded by Custom Homes! 1 Lot 50FT X 200FT Currently Fronting on Oakwood while the other Potential Lots all In-Between Rougemount and Oakwood. Scalable Development Opportunity as well with Other Vacant Lots also Listed on MLS. Please See Attached Reference Plan. (id:27476)

Property Highlights

MLS® Number
E12180115
Type
Vacant Land
Community Name
Rosebank
Land Size
150 x 200 FT ; 50W X 400D X 200W X 200D L - Shaped Lot|1/2 - 1.99 acres

Building

Fireplace Present
No
Basement Type
Basement Features
Building Heating Type
Heating Fuel
Building Cooling Type

Location