769 Limoges Road, The Nation, Ontario K0A 2M0

Listed for:
$249,500
0 beds
0 baths
Listed 129 days ago
769 Limoges Road, The Nation, Ontario K0A 2M0

View all 15 photos

About

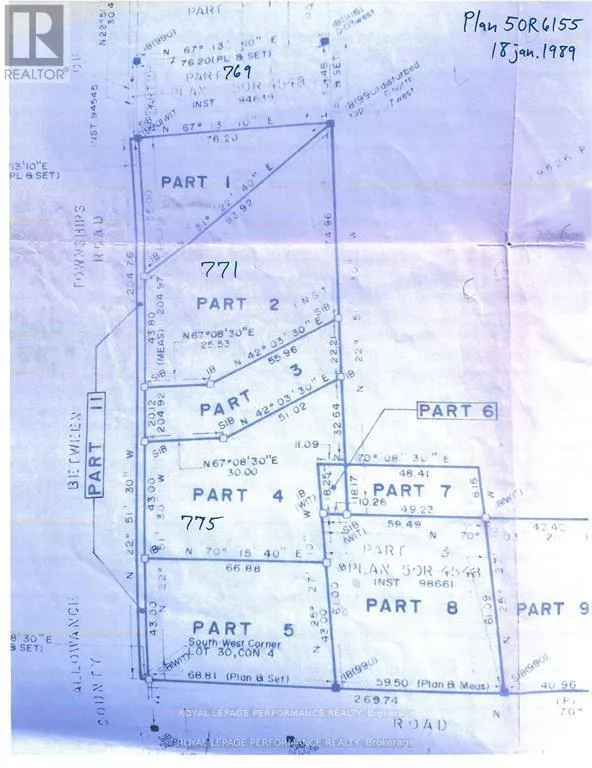
Cross Streets: Limoges Rd/Route 300. ** Directions: From Highway 417 East, take Limoges exit 79, turn left on Limoges Rd, property will be on your left. Presenting 1.08 acres of prime commercial land, perfectly situated in the growing town of Limoges! Fantastic opportunity to purchase (2) lots under the same purchase (2 separate PIN #'s, 2 roll #'s). In a location that simply can't be beat, this parcel of land is situated at the steps of the Trans-Canada Highway 417, in a prime location for future commercial development. Zoned CH (highway commercial), offering a broad range of permitted uses. The town of Limoges is part of the extremely progressive township of The Nation. With a rapidly rising population & many new significant residential developments already under way, this parcel of land offers a fantastic opportunity for serious investors & developers. Situated a 20-25 minute drive from Ottawa, +/- 1h30 from Montreal, and +/- 5h from Toronto. Minimum of 48h irrevocable on all offers. Lot lines in the photos are approximate, and for marketing purposes only. (id:27476)

Property Highlights

MLS® Number
X12499280
Type
Vacant Land
Community Name
605 - The Nation Municipality
Land Size
1.083 ac

Building

Square Footage
1 ac
Fireplace Present
No
Basement Type
Basement Features
Building Heating Type
Heating Fuel
Building Cooling Type

Location

Learn more about this property
Listing provided by:
ROYAL LEPAGE PERFORMANCE REALTY
MLS® number:
X12499280
Agent:
Mathieu Fournier
*Indicates required field
Name is required
Email is required
Please enter a valid phone number (e.g., 416-111-1111).

Street Spotlight - For sale