7155 Enterprise Way, Windsor, Ontario N8N 3N6

Listed for:
$2,100,000
0 beds
0 baths
Listed 157 days ago
No Building for rent: 7155 Enterprise Way, Windsor, Ontario N8N 3N6

View all 5 photos

About

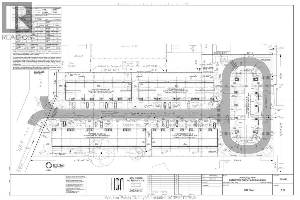
LAUZON PKWY TO ENTERPRISE WAY. BEHIND PLANET FITNESS Recently zoned multi-family townhome development. All zoning approved and ready for permit. Current plan calls for 42 townhomes. (id:27476)

Property Highlights

MLS® Number
25024545
Type
Vacant Land
Ownership Type
Freehold
Land Size
2.8 ACRES / 2.8 AC

Building

Building Type
No Building
Fireplace Present
No
Basement Type
Basement Features
Building Heating Type
Heating Fuel
Building Cooling Type

Location

Learn more about this property
Listing provided by:
DEERBROOK REALTY INC.
MLS® number:
25024545
Agent:
Joseph Mikhail
*Indicates required field
Name is required
Email is required
Please enter a valid phone number (e.g., 416-111-1111).