675 Tecumseh Road W, Windsor, Ontario N8Z 1H4

Listed for:
$8,800,000
0 beds
0 baths
Listed 85 days ago
Warehouse for rent: 675 Tecumseh Road W, Windsor, Ontario N8Z 1H4

View all 35 photos

About

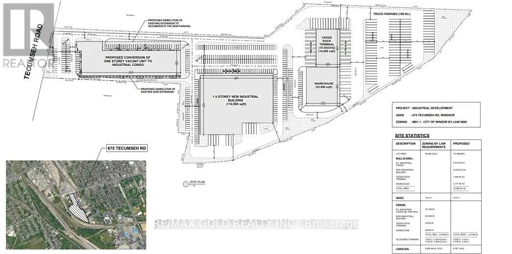
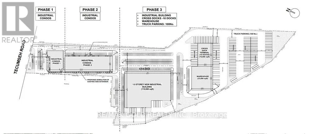
Cross Streets: Tecumseh Rd & South Pacific St. ** Directions: Tecumseh Rd West. City of Windsor Industrial Development Opportunity located right in the City of Windsor. Conversion of existing industrial building into smaller Industrial / Retail units will create excellent ROI for the investor. Very low cost of conversion makes this project a great start up for the new investors / builders looking to enter the development market. The development project can be divided into multiple phases to pay off the initial investment and to reap the future profits by pre sales of the future development. Sellers willing to assist in development. Concept plan renderings shared in pictures. Seller willing to stay in project as a partner. (id:27476)

Property Highlights

MLS® Number
X12569318
Type
Industrial
Land Size
13.95 ac
Parking Space Total
100

Building

Building Type
Warehouse
Square Footage
64000 sqft
Fireplace Present
No
Basement Type
Basement Features
Building Heating Type
No heat
Heating Fuel
Building Cooling Type
None

Utilities

Water
Municipal water

Location

Learn more about this property
Listing provided by:
RE/MAX GOLD REALTY INC.
MLS® number:
X12569318
Agent:
Aman Sethi
*Indicates required field
Name is required
Email is required
Please enter a valid phone number (e.g., 416-111-1111).

Street Spotlight - For sale