V/l Jefferson (btwn 1280&1290), Windsor, Ontario N8S 2R4

Listed for:
$179,900
0 beds
0 baths
Listed 36 days ago
No Building for rent: V/l Jefferson (btwn 1280&1290), Windsor, Ontario N8S 2R4

View all 2 photos

About

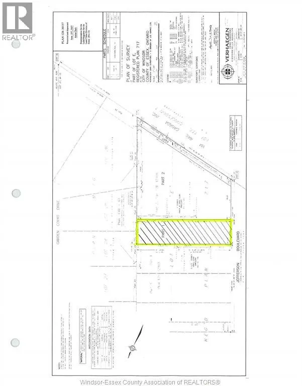
LOCATED BTWN 1280 & 1290 JEFFERSON Attention Builders and Self Builders! A fantastic opportunity! This 42 x 163.22 ft extra deep building lot is in a great Riverside location and is ready to build. Close to all amenities, parks and walking distance to David Suzuki Public School and George P Vanier French Catholic School. Sewers at lot line. Buyer to verify all service locations and permit requirements. Call for more information. Survey & report to confirm sewers locates is available. (id:27476)

Property Highlights

MLS® Number
26003885
Type
Vacant Land
Ownership Type
Freehold
Land Size
42 FT X 163.22 FT

Building

Building Type
No Building
Fireplace Present
No
Basement Type
Basement Features
Building Heating Type
Heating Fuel
Building Cooling Type

Location

Learn more about this property
Listing provided by:
BOB PEDLER REAL ESTATE LIMITED
MLS® number:
26003885
Agent:
David Pedler
*Indicates required field
Name is required
Email is required
Please enter a valid phone number (e.g., 416-111-1111).