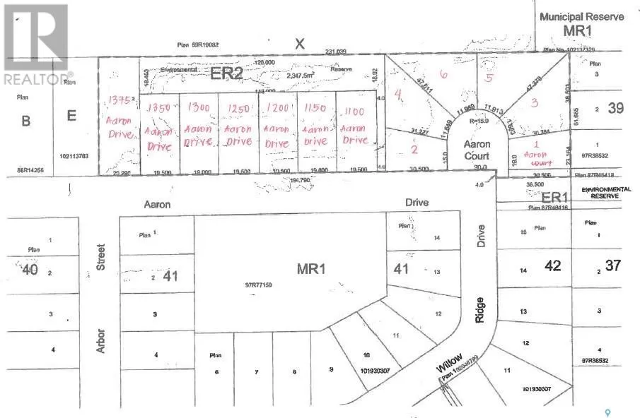
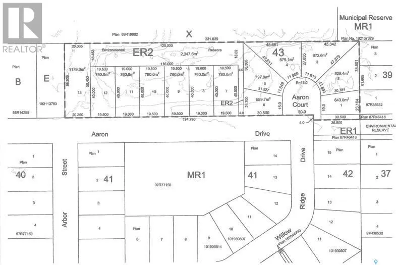
1250 Aaron Drive, Pilot Butte, Saskatchewan S0G 3Z0

Listed for:
$167,700
0 beds
0 baths
Listed 307 days ago
Unknown for rent: 1250 Aaron Drive, Pilot Butte, Saskatchewan S0G 3Z0

View all 27 photos

About

Build your dream home with a double attached garage or triple-car garage today! Here awaits your WALKOUT LOT with 8400sq’, 64X131. Enjoy the park across the street, and all the amenities are only two blocks away: Subway, Alex Pizza, Broncos Pub & Grill, a Liquor Store, A & D Fresh Market, White Butte Pharmacy, Pilot Butte Early Learning Centre, DY International Appliances, Hot Shades, Blue Rooster Café, a Car Wash, and the Fire Hall. The Elementary School is close by, too. Pilot Butte is a growing community just minutes from Regina. (id:27476)

Property Highlights

MLS® Number
SK004265
Type
Vacant Land
Ownership Type
Freehold
Land Size
8400 sqft

Building

Building Type
Unknown
Fireplace Present
No
Basement Type
Basement Features
Building Heating Type
Heating Fuel
Building Cooling Type

Location

Learn more about this property
Listing provided by:
eXp Realty
MLS® number:
SK004265
Agent:
Jeff Campbell
*Indicates required field
Name is required
Email is required
Please enter a valid phone number (e.g., 416-111-1111).