52a Beaufort Hills Road, Richmond Hill, Ontario L4E 2N1

Listed for:
$1,299,000
0 beds
0 baths
Listed 34 days ago
52a Beaufort Hills Road, Richmond Hill, Ontario L4E 2N1

View all 4 photos

Learn more about this property
Listing provided by:
ROYAL LEPAGE YOUR COMMUNITY REALTY
MLS® number:
N12432913
Agent:
Eugenio Sturino
*Indicates required field
Name is required
Email is required
Please enter a valid phone number (e.g., 416-111-1111).

About

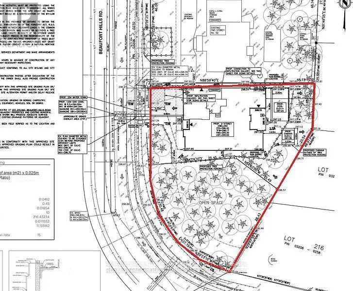
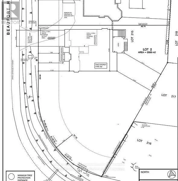
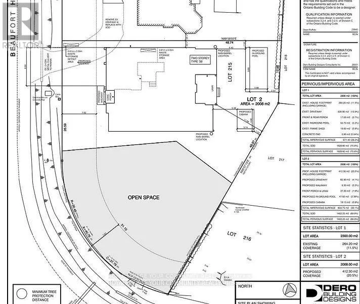
Bathurst & King Attention builders, developers, and end-users, Welcome to 52A Beaufort Hills! This stunning mature lot, measuring a generous 167x157 ft, is now available for you to create your dream home. Located on the most desirable street in Oakridge's, this fully serviced lot offers an exceptional opportunity for anyone looking to build a home in a prime location. Nestled in a charming cul-de-sac, the severance has been approved by the City of Richmond Hill. As a seller, we are committed to providing a new PIN and registering the lot with all services paid, ensuring a smooth and hassle-free process for you. This incredible lot is sure to attract a lot of interest, so don't miss out on the chance to make your dream home a reality. Secure your place in this fantastic community today! (id:27476)

Property Highlights

MLS® Number
N12432913
Type
Vacant Land
Community Name
Oak Ridges
Land Size
167 x 157 FT ; Irregular|under 1/2 acre

Building

Square Footage
0 - 699 sqft
Fireplace Present
No
Basement Type
N/A (Other, See Remarks)
Basement Features
Building Heating Type
Other
Heating Fuel
Building Cooling Type

Utilities

Water
Municipal water
Utility Sewer
Sanitary sewer

Location

Community Spotlight: Homes For sale in Your Neighborhood