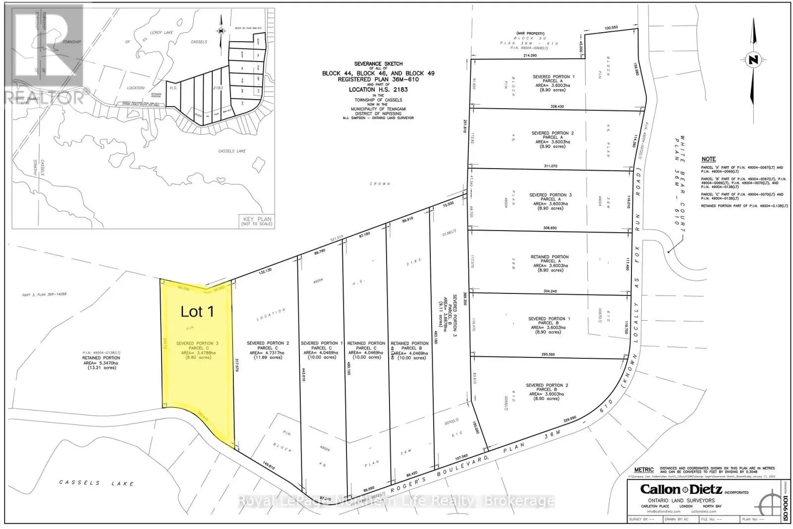
Lot 1 Fox Run Road, Temagami, Ontario P0H 2H0

Listed for:
$199,900
0 beds
0 baths
Listed 206 days ago
Lot 1 Fox Run Road, Temagami, Ontario P0H 2H0

View all 5 photos

About

Cross Streets: FOX RUN AND NET CREEK RD. ** Directions: HWY 11 TO O'CONNOR DR, LEFT ON STEVENSRD, RIGHT ON FOX RUN. Discover the perfect canvas for your vision with this 8.6-acre parcel of wooded land on Fox Run in Temagami. Nestled in a picturesque setting with direct access to scenic trails and abundant wildlife, this property is a dream for outdoor enthusiasts. Conveniently located on a paved road with garbage and recycling pickup, school bus service, and electricity at the lot line, it also offers close access to the Cassells Lake water system. An excellent opportunity for development or your private retreat. (id:27476)

Property Highlights

MLS® Number
X12421023
Type
Vacant Land
Community Name
Temagami
Land Size
163.61 x 242.82 M|5 - 9.99 acres

Building

Fireplace Present
No
Basement Type
Basement Features
Building Heating Type
Heating Fuel
Building Cooling Type

Location

Learn more about this property
Listing provided by:
Royal LePage Northern Life Realty, Brokerage
MLS® number:
X12421023
Agent:
Jarrod Pandolfo
*Indicates required field
Name is required
Email is required
Please enter a valid phone number (e.g., 416-111-1111).

Street Spotlight - For sale