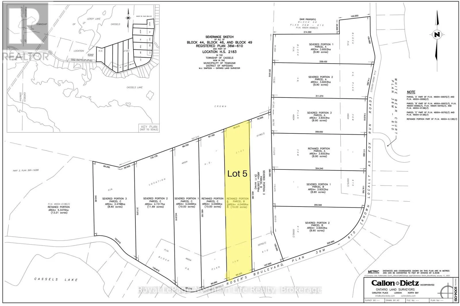
Lot 5 Fox Run Drive, Temagami, Ontario P0H 2H0

Listed for:
$199,900
0 beds
0 baths
Listed 206 days ago
Lot 5 Fox Run Drive, Temagami, Ontario P0H 2H0

View all 6 photos

About

Cross Streets: FOX RUN & NET CREEK RD. ** Directions: HWY 11 TO O'CONNOR DR, LEFT ON STEVENSRD, RIGHT ON FOX RUN. This 10-acre property on Fox Run provides the perfect setting to bring your vision to life. Surrounded by trees, wildlife, and natural trails, it offers a serene escape while still being close to key amenities. Electricity is available at the lot line, with paved road access, garbage and recycling pickup, and school bus service. The Cassells Lake water system nearby makes this parcel well-suited for residential development or a private getaway. (id:27476)

Property Highlights

MLS® Number
X12421035
Type
Vacant Land
Community Name
Temagami
Land Size
86.42 x 491.84 M|10 - 24.99 acres

Building

Fireplace Present
No
Basement Type
Basement Features
Building Heating Type
Heating Fuel
Building Cooling Type

Location

Learn more about this property
Listing provided by:
Royal LePage Northern Life Realty, Brokerage
MLS® number:
X12421035
Agent:
Jarrod Pandolfo
*Indicates required field
Name is required
Email is required
Please enter a valid phone number (e.g., 416-111-1111).

Street Spotlight - For sale