Lot 2 Fox Run Drive, Temagami, Ontario P0H 2H0

Listed for:
$199,900
0 beds
0 baths
Listed 206 days ago
Lot 2 Fox Run Drive, Temagami, Ontario P0H 2H0

View all 5 photos

About

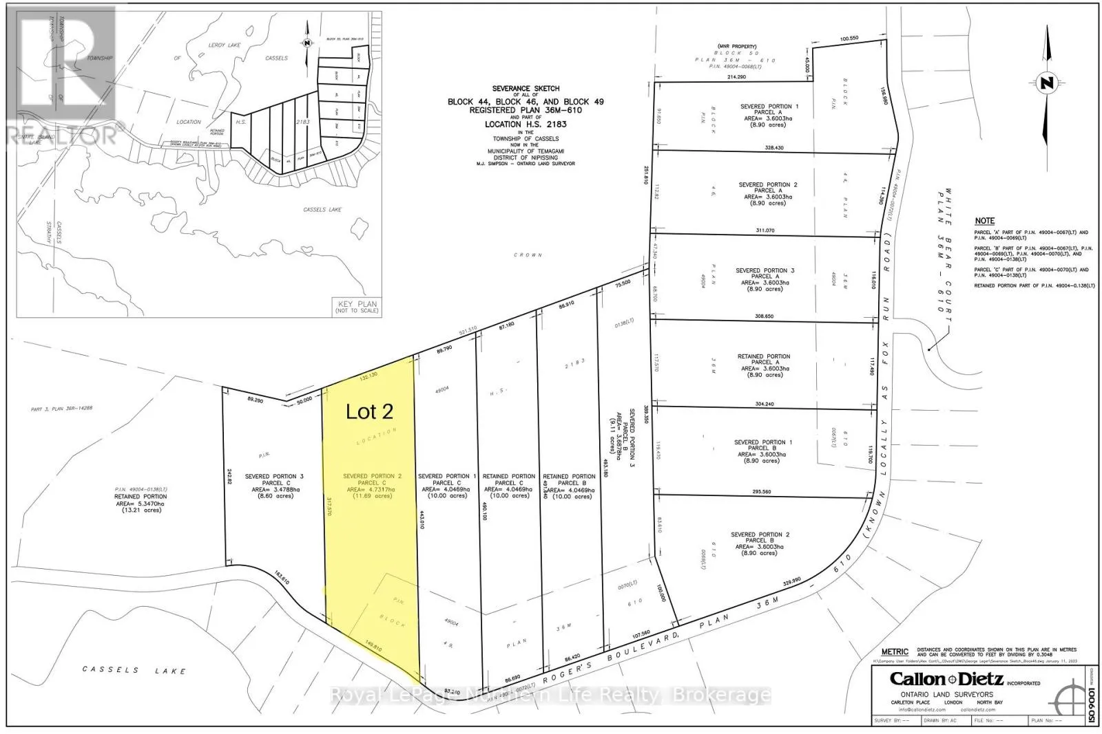
Cross Streets: FOX RUN & NET CREEK RD. ** Directions: HWY 11 TO O'CONNOR DR, LEFT ON STEVENSRD, RIGHT ON FOX RUN. This impressive 11.69-acre parcel on Fox Run provides endless possibilities in a naturally stunning environment. Surrounded by mature trees and wildlife, with trails at your doorstep, its the ideal setting for nature lovers. Enjoy paved road access, garbage and recycling pickup, school bus service, and electricity at the lot line. With the Cassells Lake water system nearby, this property offers both convenience and serenity for your dream home or recreational escape. (id:27476)

Property Highlights

MLS® Number
X12421028
Type
Vacant Land
Community Name
Temagami
Land Size
149.81 x 317.57 M|10 - 24.99 acres

Building

Fireplace Present
No
Basement Type
Basement Features
Building Heating Type
Heating Fuel
Building Cooling Type

Location

Learn more about this property
Listing provided by:
Royal LePage Northern Life Realty, Brokerage
MLS® number:
X12421028
Agent:
Jarrod Pandolfo
*Indicates required field
Name is required
Email is required
Please enter a valid phone number (e.g., 416-111-1111).

Street Spotlight - For sale